Drupacee, con la caduta foglie partono i trattamenti autunnali

Appuntamento di profilassi fitosanitaria da non mancare

caduta foglie corineo
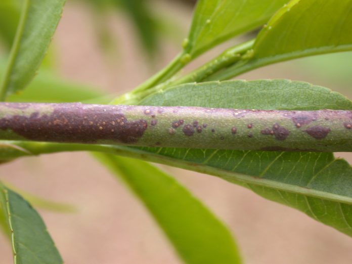
Sintomi di corineo su rametto di pesco
Oltre che per gli aspetti fisiologici, questa fase fenologica è anche un importante appuntamento per la profilassi fitosanitaria. I trattamenti a caduta foglie infatti sono fondamentali per prevenire o almeno contrastare l’insediamento di funghi e batteri nelle cicatrici fogliari

Accesso riservato

Questo contenuto è riservato agli abbonati a Terra e Vita

Sei abbonato a Terra e Vita? Effettua il login con la stessa e-mail utilizzata per la sottoscrizione del tuo abbonamento, per accedere a questo articolo e a tutti i contenuti a te riservati.

Non sei ancora abbonato a Terra e Vita? Attiva ora il tuo abbonamento per non perderti nulla.

Contenuti premium, approfondimenti speciali e tanti altri vantaggi ti aspettano. Scoprili tutti qui

Per qualsiasi problema scrivi a abbonamenti@newbusinessmedia.it

Drupacee, con la caduta foglie partono i trattamenti autunnali
- Ultima modifica: 2025-11-17T08:37:24+01:00
da Roberta Ponci
Drupacee, con la caduta foglie partono i trattamenti autunnali - Ultima modifica: 2025-11-17T08:37:24+01:00 da Roberta Ponci

LASCIA UN COMMENTO

Per favore inserisci il tuo commento
Per favore inserisci il tuo nome